
na predaj investičné pozemky lokality Párovské Lúky
Investičné stavebné pozemky v k.ú. Zobor na predaj Vodná ulica

Ulica: | aleksince |
---|---|
Obec: | Alekšince |
Okres: | Nitra |
Kraj: | Nitriansky kraj |
Druh: | Pozemky |
Typ: | Predaj |
Typ pozemku: | Orná pôda |
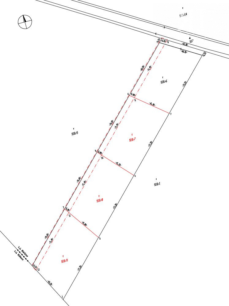
Ponúkame na predaj 3 parcely ornej pôdy v k.ú. Alekšince, v blízkosti zastavaného územia obce Alekšince a hlavného ťahu Nitra-Hlohovec. Parcely sú umiestnené v extraviláne 2.
Dve parcely vedľa seba:
1.parcela 518/6 o výmere 3469 m2 - orná pôda
2. parcela 518/8 o výmere 3469 m2 - orná pôda
Na parceliach 518/6-8 má záujem Slovenská správa ciest budovať cestu 1. triedy a pripojenie na pôvodnú cestu
Cena týchto parciel je 10 € / m2, výsledná suma za jednu parcelu je 34 690 €
Ďalšia samostatná parcela:
3. parcela 491/3 o výmere 5603 m2 - orná pôda
Cena za túto parcelu je 5 €/ m2, výsledná suma by bola 28 000 €
Týmto Vám predstavujeme skvelú investičnú príležitosť na odkúpenie parciel v tejto veľmi rozvíjajúcej sa lokalite v katastrálnom území Alekšince.
viac info u nás v RK 0905 552 101